Menu
Rechercher
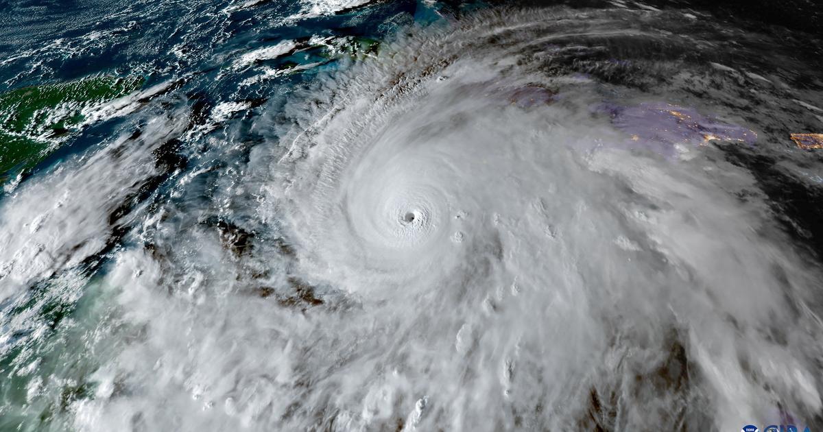
Comment naissent les ouragans, ces phénomènes météorologiques les plus destructeurs
DÉCRYPTAGE - Ces enroulements nuageux qui prennent naissance au-dessus des eaux chaudes des régions tropicales sont les extrêmes météorologiques les plus violents de notre planète.
Vous créez des podcasts ?
Créez vos podcasts directement sur Lykhubs ou référencez simplement les flux dans notre annuaire pour les diffuser au sein de la communauté.
En savoir plusCrues soudaines, vents à 270 km/h, glissements de terrain... La Jamaïque se prépare à ...
Le premier ministre de la Jamaïque a alerté lundi sur un risque de destructions massives. L’ouragan Mélissa, élevé lundi à la catégorie maximale, menace les Caraïbes de «vents destructeurs» et d’«inondations catastrophiques» dans les 48 heures à ...
Tornade dans le Val-d’Oise : des phénomènes destructeurs mais relativement furtifs,...
En raison de leur petite taille, les tornades sont très difficiles à anticiper dans les modèles météorologiques et climatiques. Lundi, une personne a été tuée à Ermont (Val-d’Oise) dans l’écroulement d’une grue de chantier.
Retailleau, Attal et Philippe dans le trou noir des présidentiables
CHRONIQUE. Les derniers jours ont ete destructeurs pour ceux qui, dans l'ex-socle commun, guignaient l'Elysee. De Retailleau a Philippe en passant par Attal, il va etre plus difficile que jamais de s'imposer face au RN.
« J’en ai marre d’être résiliente » : à Lytton, point le plus...
« Un monde à + 1,5 °C » 2/6. La localité de Colombie-Britannique a été dévorée par les flammes en 2021. Alors que les incendies sont de plus en plus destructeurs, une partie des habitants est revenue sur place, déterminée à rester.
« Méga-orages, la nouvelle menace » : coups de foudre
Un documentaire éclairant sur ces phénomènes météorologiques de plus en plus fréquents et destructeurs. Ce soir à 21h05 sur France 5.
Vives tensions entre Raymond et Géraldine Maillet, "Tu es riche, tu fermes ta gueule"
Ce mercredi 10 septembre, les récentes confidences de Kylian Mbappé sur l’argent et ses effets destructeurs ont suscité une vive controverse dans l’émission "Tout beau tout neuf". Une séquence houleuse où Raymond Aabou et Géraldine Maillet se sont vivement...
Les 5 techniques de manipulation les plus dangereuses, selon un professeur de psychologie sociale
Les techniques de manipulation ont toutes le même objectif : contrôler l’autre. Le professeur en psychologie sociale Kevin Bennett énumère 5 procédés destructeurs pour mieux les identifier, s’en défaire et reprendre le pouvoir.
"La nuit au cÅ“ur" de Nathacha Appanah : une plongée vertigineuse dans l’enfer des...
A travers les destins croisés de trois femmes victimes de la violence de leur compagnon, la romancière de "Tropique de la violence" explore les mécanismes destructeurs de l’emprise dans son récit le plus personnel. Bouleversant.
Le masque camerounais tukah, soustrait à son pays dans les années 1950, souhaite retrouver...
« Patrimoine africain : le temps du retour » (2/5). Aujourd’hui exposé au Musée du quai Branly, à Paris, l’objet est sacré pour les Bamendou. Sa copie, restée au Cameroun, aurait des pouvoirs destructeurs.
lykhubs
